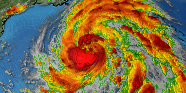
Hurricane Helene has strengthened to a Category 3, and will most likely become a Category 4, storm as it barrels toward the Gulf Coast, with Georgia expecting to experience its effects by the end of the week. The National Hurricane Center forecasts the storm will reach the Florida Panhandle by Thursday evening, with wind speeds reaching up to 120 mph. Once inland, the storm is projected to weaken but could still bring significant impact to Georgia, including heavy rain and potential flooding.
A tropical storm watch was issued Wednesday for much of Georgia, extending from metro Atlanta to the Tennessee border. This watch signals that tropical storm-force winds, exceeding 39 mph, could arrive within 48 hours. South Georgia is under a hurricane warning, where wind speeds could exceed 76 mph. Rainfall could reach up to 18 inches in some areas, with the risk of tornadoes expected to increase by Friday morning as the storm moves north.
Governor Brian Kemp has declared a state of emergency, mobilizing 500 National Guard troops to assist with storm preparations and responses. The declaration is effective until October 2nd, with state agencies coordinating efforts to mitigate the storm’s impact. Meanwhile, schools across South Georgia, including Valdosta State University and several K-12 districts, have announced closures on Thursday and Friday.
In anticipation of the storm, metro Atlanta schools, including Clayton County, have canceled athletic and extracurricular activities. Several high school football games have been rescheduled, and the North Georgia State Fair will suspend operations on Wednesday and Thursday nights, with plans to reopen Friday.
Meteorologists warn that Hurricane Helene could affect the northern part of the state similarly to Hurricane Irma in 2017, with strong winds, downed trees, and widespread power outages likely. Georgia Power and Georgia EMC are closely monitoring the forecast and preparing for potential outages as the storm moves through the region.
The National Weather Service reports that a “predecessor rain event” is already bringing heavy rain to parts of northwest Georgia, with more rain expected as Helene moves inland. The storm is expected to move northward by Friday and weaken as it heads toward the Midwest. However, rain and cloud cover could linger in Georgia, with cooler temperatures in the forecast through early next week.
As Hurricane Helene approaches, Georgia residents are urged to prepare by securing outdoor objects, gathering supplies, and charging devices.
With the Atlantic hurricane season continuing through November 30, experts predict an above-average season, with as many as 24 named storms and up to seven major hurricanes.























